1. Introduction                                    
                                                                        On-site inspections complement relevant civil engineering studies because they reveal the actual conditions at the time of inspection, ensure compliance with design specifications, and address the dynamic and changing conditions that can affect the performance of infrastructures. Both civil engineering studies and inspections are integral parts of a comprehensive approach to civil engineering projects [
1].
The on-site inspections are necessary in order to ensure:
- Compliance with safety regulations
 
- Identification of operational problems
 
- Quality control of infrastructures
 
- Documentation of the existing condition
 
As natural hazards (flood, fire, earthquake, tornado, and windstorms) occur unexpectedly [
2,
3], civil engineering studies confront limits in providing answers and solutions to the violently transformed areas. Therefore, a need to depict the conditions of the transformed area emerges. 
Modern mapping, Google Earth, available digital terrain models and satellite images often provide information with regard to the site soil and land-use conditions before the occurrence of natural hazards. In many cases, satellite images may also capture the development of the natural hazard event. However, the publication of the maps is inconsistent. For example, the changes in the landscape due to the wildfire were released just after the event (August 2021). Still, the landscape transformations from storms Daniel and Elias (September 2023) were not released until August 2024. 
A common methodology to unravel the (before and after) conditions of the impacted area is to send an on-site mission of specialized engineers to gather evidence and (georeferenced) photos of the area. For engineers to be able to survey the affected area properly, additional use of drones and Geographical Information Systems (GIS), both of which however require specialized knowledge, equipment training and considerable time, are required [
4].
The importance of landscape is also crucial from a social point-of-view, mainly due to its relation to the public perception of landscapes [
5], which is based on their aesthetic view [
5,
6] and cultural character [
7]. Thus, it should be protected through proper landscape design and spatial planning [
8,
9,
10]. In water landscapes, in particular, places are even more likely to be positively perceived by the public and bear important value for local communities and visitors [
11,
12,
13]. However, in this work, our focus on landscapes is mostly targeted towards their role in the natural functions associated with weather phenomena, i.e., in our case, rain and flooding. Flora, in particular, is of great importance for the behavior of water basins in flood events since they correlate with parameters such as water retention, sediment load, etc. The effect of recent natural stresses on the rural landscapes was crucial in our case study in Northern Euboea, where a disease of the plane trees significantly affected the river banks, making them vulnerable to flood events.
In this paper, we present the steps needed for on-site inspection to carry out a fast-track capture of the transformed landscape utilizing a simple commercial drone, a web-based app (KIRIENGINE) and the open-source software Blender. Using these tools, engineers can compose a 3D terrain model after a natural hazard has occurred, which can then be compared to the previous (i.e., before the occurrence of the event) land use and survey conditions of the area, hence providing a better view for the experts to assess the damage along with the evidence from the conventional on-site ground-inspections. Similar approaches have been successfully implemented in previous research, such as Dimitriadis et al. (2016) [
14], which highlights the importance of integrating flood modeling into disaster preparedness and recovery efforts.
The case study area is in the Municipality of Mantoudi-Limni-Agia Anna in North Euboea. The municipality was chosen because, in recent years, it has experienced successive natural disasters such as plane tree disease [
15] (2017-present), storm Zorbas (2018), wildfire (2021) [
16] and storms Daniel-Elias [
17]. The municipality consists of 48 settlements, and according to the 2021 census, it has a population of 12,235 residents. It is a typical rural area with the highest land coverage being pine-tree forest. In this paper, the landscape alteration due to storms at Daniel-Elias is analyzed.
 
                                                                        
                                        
                                        2. Methodology                                    
                                                                        The proposed methodology is simple and based on comparing the state of the area impacted by the hazard event before and after its occurrence. Particularly, for the unraveling of the conditions before the occurrence (e.g., of a flood-event [
18]), the first step is to search for pictures showing the terrain prior to the hazard by using, for example, the archive from Google Earth. 
After capturing multiple (about 200) successive images of the affected area using a drone, these images can be uploaded to the web-based KIRIENGINE application (web version). This tool utilizes photogrammetry to create highly detailed three-dimensional (3D) models. Although KIRIENGINE is not specifically designed for synthesizing terrain modeling, the accuracy of the models it generates is remarkably high, making it an effective resource for visualizing complex landscapes.
Once the 3D model is exported, it allows for a comprehensive, fast-track view of the affected area. This model can be compared with existing terrain data and infrastructure layouts, such as those available on Google Earth, to analyze the extent of changes caused by natural disasters. By studying these alterations, we can better understand the impact on the terrain and infrastructures, allowing for informed decision-making regarding response and recovery actions. This process not only aids in assessing immediate damage but also provides valuable insights for long-term planning and mitigation strategies to enhance resilience against future events.
 
                                                                        
                                        
                                        3. Case Study                                    
                                                                        3.1. Description of the Study Area and the Successive Disasters
North Euboea is an area with a rich topography, which allows the development of various species of flora and fauna in both mountainous and lowland areas. The study area is limited to the Nileas, Kireas, and Voudouros rivers, the latter formed by the confluence of the former two [
19].
In recent years, this area has repeatedly suffered significant natural disasters [
20]. Since 2017, a large part of the population of plane trees in Greece has been affected by the disease Ceratocystis platani. Ceratocystis platani is a fungus that affects species like Platanus orientalis in Greece and other parts of Europe [
15]. Genetic analyses show a clear similarity to the fungus found in other countries. The disease causes significant mortality in trees and seems to spread through root contact with water and possibly via contaminated pruning tools [
21,
22].
To minimize the risk of the fungus spreading in the EU, several measures are proposed. These include certifying Platanus plants intended for planting, informing affected developing countries about adding firewood to timber regulations and establishing regulatory frameworks for machinery [
23]. Specifically, the appearance of the disease in North Euboea seems to have affected the environment and the river currents [
15,
24]. However, further studies are needed to evaluate its impact fully.
In 2021, a severe storm called Zorbas (total rainfall 114 mm [
25,
26]) hit the area (). 
In 2021, a major catastrophic fire that hit North Euboea severely impacted the environment and the region’s ecosystems [
16]. A portion of the total area was affected, impacting river flows and flooding. Water retention decreased and soil characteristics were altered, thus resulting in the increase of the volume and peak of stormwater runoff. 
After that, the area was affected by flooding phenomena due to two major storms (Daniel and Elias) (Figure 1), which hit North Euboea in September 2023 [
17,
27], creating new problems in the already burdened environment of the island [
28]. The extreme weather event “Daniel” (total rainfall 314 mm [
27,
28]) affected Greece, Turkey, Bulgaria, and Libya from September 4th to 12th, 2023. In Greece, particularly in Thessaly and Euboea, it caused severe damage due to river overflows and heavy rainfall, resulting in floods and material damage [
29]. The phenomenon was exacerbated by the storm “Elias” (total rainfall 261 mm [
27,
28]) at the end of September 2023, which caused further destruction, especially in Euboea, with floods, landslides and damage to infrastructure [
30,
31,
32,
33] () causing changes to the natural landscape, water flow, and the formation of the riverbed.
.  Rainfall of storms Zorbas (2018), Daniel (2023) and Elias (2023) in 30 min time step.
In the narrowing of the river under the bridge in , during the Zorbas storm, the water level was higher (by about half a meter) than during Daniel and Elias, even though the rainfall was of lower intensity. The analysis of flood plains in satellite images shows that the flood plains of Zorbas were more expanded than the flood plains of Daniel and Elias (, ,  and  ). This occurred because, during Zorbas, the presence of plane trees slowed the water flow, preventing it from draining quickly. 
In the case of Daniel and Elias, the plane trees (and the forest) were absent. Although a much larger volume of water likely came through, it drained away quickly (along with debris and the riverbank slopes, expanding the active cross-section of the river). While Daniel and Elias caused significant damage and eroded the riverbanks, the floodplain area was smaller.
.  Failure of the infrastructures from the event of Elias storm; (<b>a</b>) Road collapse during the event; (<b>b</b>) Expand of the riverbed and nearby road collapse (<b>c</b>) Flooded greenhouses.
 
.  Bridge 38°48′24.97″ N; 23°27′6.97″ E. (<b>a</b>) Before 2017; (<b>b</b>) 28 February 2023 (<b>c</b>) 6 September 2023 (storm Daniel).
 
.  Sentinel-1 SAR, [
34,
35]. (<b>a</b>) North Euboea. With red color, the area of interest is indicated; (<b>b</b>) The area of interest.
  
.  Sentinel-1 SAR, [
36,
37]. Storm Zorbas. Flood plains in the area of interest (b) (<b>a</b>) 27 September 2018 (<b>b</b>) 3 October 2018.
  
.  Sentinel-1 SAR, [
36,
37]. Storm Daniel. Flood plains in the area of interest (b) (<b>a</b>) 1 September 2023 (<b>b</b>) 7 September 2023.
  
.  Sentinel-1 SAR, [
36,
37]. Storm Elias. Flood plains in the area of interest (b) (<b>a</b>) 25 September 2023 (<b>b</b>) 1 October 2023.
  
3.2. Description of the Mapping Approach
Currently, much of the engineers’ research is done via computer using models and other computational tools. This capability, although largely promoting science, also harbors risks as engineers could not feel the spirit of the place (Latin: genius loci) [
38] of the area of interest. One way for the researcher to confirm the validity of their study is through on-site field research of the area, taking insights from the inhabitants [
36].
Acknowledging the risk of riverbed alterations, studies have been made [
15,
17] to quantify the conditions of the riverbed and highlight potential risks before the events of Daniel and Elias. To describe the initial (i.e., prior to the storm’s occurrence) soil conditions, the first step involves examining the representation of the study area on Google Earth and comparing maps from its archive. This gives a general idea of the changes over the years. Such images were also used to assess the landscape’s vulnerability in the Nileas watershed and to estimate the impact of the disease on plane trees. Historical maps also provided information on potential changes in the flora along the riverbeds during floods, indicating possible points of failure. Then, through Geographic Information Systems (GIS) [
37], the characteristics and morphology of the Nileas river basin were analyzed. This analysis revealed features such as the basin’s area, the main watercourse length, and the ground slopes, which help further analyze the area’s hydrological data.
On-site inspections were conducted in April 2023 and after the occurrence of Daniel and Elias storms [
39,
40], a second round of on-site inspections was also undertaken in November 2023. Visualizing these changes enhances our understanding of the river’s floodplain and its evolving dynamics, enabling more effective data processing to mitigate the impacts of such events. However, the on-site inspections were conducted on the ground without the aid of drones, which limited the scope of the observations.
In this case study, we present the follow-up stage of the research, which involves  mapping  the ground in a three-dimensional (3D) model using drone and photogrammetry for a fast-track monitoring of the effects of the events. 
3.3. Analysis
Selected parts of the affected area were initially recorded through multiple consecutive images with a low-cost commercial drone. These photos were then processed through the online application KIRIENGINE, which uses photogrammetry to create three-dimensional models. The drone photos were uploadedto the online platform of KIRIENGINE and processed to create 3D models. Once the photos were imported, the application processed the data with photogrammetry and exported the 3D models, which enabled the comparison of similar views of the model with the affected area. The last step may also be viewed using the open-source software Blender [
41]. The aforementioned procedure provides additional insight into the affected area and input for a rapid assessment, hence facilitating its study by the engineers.
The selected areas for the composition of 3D models are near the village Kerinthos in North Euboea [
42], depicted in , an example of the results in position 5 is depicted in ,  and  and the results of positions 1–5 are depicted in the supplementary material.  shows the area by the archive of Google Earth (before the storms Daniel and Elias) and  and  show the creation of 3D models in obj file viewer and Blender, respectively, by the same areas after the storms Daniel and Elias.
.  Selected areas of the creation of modeling the riverbed near to village Kerinthos in North Euboea [
43].
  
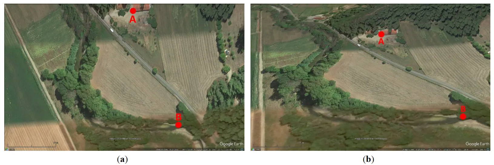
.  The study area in Google Earth [
43], (<b>a</b>) horizontal view; (<b>b</b>) angled view. Landmarks: A: 38°47′59.84″ N, 23°26′42.23″ E; B: 38°47′57.14″ N, 23°26′33.39″ E; date: 29 August 2020.
  
.  The composed 3D model in obj viewer. (
a) horizontal view; (
b) angled view. The landmarks A and B correspond to the landmarks in . Date: 2 May 2024 [
44].
  
.  The composed 3D model in obj file in software Blender. The landmarks A and B correspond to the landmarks in . (<b>a</b>) horizontal view; (<b>b</b>) angled view.
 
3.4 Results
The key findings for the study area before and after storms Daniel and Elias are as follows:
- Even though storms Daniel and Elias were more intense than the Zorbas storm, the floodplain was smaller. The riverbed had significantly widened during the Daniel and Elias storms.
 
- Significant alterations were found within the riverbed width, especially at the lower altitudes of the basin. This is associated with the pre-existing conditions of local fauna and, in particular, the problems local plane trees face due to disease.
 
- A significant sediment accumulation was noticed in the delta of the Voudouros River. It is indicated that the landscape changes of the basin and the riverbeds have potentially led an increasein sediment transfer due to flood flows. 
 
- Changes were found in the landscape along the river and the adjacent beach, all connected to the above-mentioned natural phenomena. Those changes are correlated with the basin’s behavior during flooding, which is at the forefront of this research andthe aesthetic, cultural and natural character of landscapes as perceived by locals and visitors.
 
- A final result that is secondarily associated with the research is the profound destruction of arable land and road collapses in several locations, an important strike towards local infrastructure.
 
Overall, the mixture of technologies that were utilized in combination with site visits offers the potential for a fast-track but detailed recording of landscape changes associated with flood events. This provides important feedback for potential future hazards in the area, e.g., in our case, the riverbed erosion, increased sediment flow, etc., andregarding measuring and characterizing local impacts.
 
                                                                        
                                        
                                        4. Conclusions                                    
                                                                        Civil engineering offers a rational approach to anticipating dynamic nature-induced alterations in various contexts, including environmental aspects. On-site inspections are an essential and dynamic tool for capturing the prevailing conditions in the field and are extremely useful for the study of any project. 
In events of natural disasters, where there is no luxury of time and often not even the necessary tools and materials for the implementation of detailed analyses, on-site inspections with ground-based documentation are the usual practice. In this work, a simple, straightforward method is presented, which does not require special software or expensive equipment and software, allowing engineers to conduct field inspections, compile three-dimensional models using a commercial drone and thus quickly and easily obtain an overview of a site that was not possible by the view from the ground. This is particularly useful in natural disaster events that require immediate and rapid field documentation.
In the presented case study of North Euboea, Google Earth documents the initial state of the landscape. The subsequent impacts of intense rainfall events exacerbated by the loss of natural flora due to wildfires and disease affecting local plane trees are documented by applying the presented methodology. The detailed recording of the loss of plane trees is particularly important in this case due to the importance of plane tree roots in holding together river banks. 
In this case study, we observed that during storms Daniel and Elias, the floodplain was smaller than in the Zorbas storm, which was lower intensity. Additionally, the riverbed significantly widened, altering the landscape. Therefore, the loss of the plain trees will be potentially impactful on the water flow, the stability of the anaglyph and the sediment load as well as future floods.
These observations advocate that the presented methodology is useful for providing fast-track insights in engineering studies in cases of natural hazards.
                                                                        
                                                                        
                                                                        
                                        
                                        Supplementary Materials                                    
                                                                        The following supporting information can be found at: https://www.sciepublish.com/article/pii/265, Figure S1. The study area in Google Earth (a) horizontal view; (b) angled view. Landmarks: A: 38°49′45.80″ N, 23°27′54.15″ E; B: 38°49′48.71″ N, 23°28′3.58″ E; date: 6.1.2021; Figure S2. The composed 3D model in obj viewer. (a) horizontal view; (b) angled view; Figure S3. The composed 3D model in obj file in software Blender. (a) horizontal view; (b) angled view; Figure S4. The study area in Google Earth (a) horizontal view; (b) angled view. Landmarks: A: 38°49′45.80″ N, 23°27′54.15″ E; B: 38°49′35.00″ N, 23°27′52.81″ E; date: 6.1.2021; Figure S5. The composed 3D model in obj viewer. (a) horizontal view; (b) angled view; Figure S6. The composed 3D model in obj file in software Blender. (a) horizontal view; (b) angled view; Figure S7. The study area in Google Earth (a) horizontal view; (b) angled view. Landmarks: A: 38°48′29.11″ N , 23°27′41.11″ E; B: 38°48′34.16″N, 23°28′7.73″ E; date: 6.1.2022; Figure S8. The composed 3D model in obj viewer. (a) horizontal view; (b) angled view; Figure S9. The composed 3D model in obj file in software Blender. (a) horizontal view; (b) angled view; Figure S10. The study area in Google Earth (a) horizontal view; (b) angled view. Landmarks: A: 38°48′29.11″ N, 23°27′41.11″ E; B: 38°48′32.33″ N, 23°27′44.16″ E; date: 6.1.2022; Figure S11. The composed 3D model in obj viewer. (a) horizontal view; (b) angled view; Figure S12. The composed 3D model in obj file in software Blender. (a) horizontal view; (b) angled view.
                                                                        
                                                                        
                                                                        
                                        
                                        Acknowledgments                                    
                                                                        The authors would like to thank Eleonora Tounousidou, Spiros Kagelaris and Christos Christodoulou from Greek Land Registry (ΕΛΛΗΝΙΚΟ ΚΤΗΜΑΤΟΛΟΓΙΟ), for providing them the geospatial data of the area. They also like to thank Antonios Moschou for the valuable insights in the field research.
                                                                        
                                        
                                        Author Contributions                                    
                                                                        Conceptualization, G.-F.S.; Methodology, G.-F.S.; Software, G.-F.S., K.M., R.I.; Validation, G.-F.S., K.M.; Formal Analysis, G.-F.S., K.M.; Investigation, G.-F.S.; Resources, K.M., R.I.; Data Curation, G.-F.S., K.M.; Writing—Original Draft Preparation, G.-F.S. K.M., R.I., I.B., N.M.; Writing—Review & Editing, G.-F.S., N.M., I.B.; Visualization, G.-F.S., K.M.; Supervision, n/a.; Project Administration, n/a; Funding Acquisition, n/a.
                                                                        
                                        
                                        Ethics Statement                                    
                                                                        Not applicable.
                                                                        
                                        
                                        Informed Consent Statement                                    
                                                                        Not applicable.
                                                                        
                                        
                                        Funding                                    
                                                                        This research received no external funding but was motivated by the scientific curiosity of the authors.
                                                                        
                                        
                                        Declaration of Competing Interest                                    
                                                                        The authors declare that they have no known competing financial interests or personal relationships that could have appeared to influence the work reported in this paper.
    
                                                                            
                                            
                                            References
                                        
                                        
                                                                                
                                            
                                                                                                
                                                
                                                    1.
                                                    
                                                                                                    Sigourou S, Tsouni A, Pagana V, Sargentis G-F, Dimitriadis P, Ioannidis R, et al. An advanced methodology for field visits towards efficient flood management on building block level. In Proceedings of the EGU General Assembly, Vienna, Austria, 24–28 April 2023.                                                    
                                                 
                                                                                            
                                                
                                                    2.
                                                    
                                                    
                                                        Sargentis G-F, Koutsoyiannis D, Angelakis A, Christy J, Tsonis AA.   Environmental Determinism vs. Social Dynamics: Prehistorical and Historical Examples.
 World 2022,
 3, 357–388. 
[Google Scholar]
    
                                                                                                     
                                                 
                                                                                            
                                                
                                                    3.
                                                    
                                                    
                                                        Dimitriadis P, Iliopoulou T, Sargentis G-F, Koutsoyiannis D.   Spatial Hurst—Kolmogorov Clustering.
 Encyclopedia  2021,
 1, 1010–1025. 
[Google Scholar]
    
                                                                                                     
                                                 
                                                                                            
                                                
                                                    4.
                                                    
                                                                                                    Kougia M, Sigourou S, Dimitriadis P, Ioannidis R, Tsouni A, Sargentis G-F, et al. Modern vs traditional mapping methods for flood risk estimation: A case study for the river Pikrodafni, Athens, Greece. In Proceedings of the EGU General Assembly, Vienna, Austria, 14–19 April 2024.                                                    
                                                 
                                                                                            
                                                
                                                    5.
                                                    
                                                                                                    Sargentis G-F, Hadjibiros K, Papagiannakis I, Papagiannakis E. Plastiras Lake: influence of the relief on the revelation of the water presence. In Proceedings of the 9th International Conference on Environmental Science and Technology, Rhodes Island, Greece, 1–3 September 2005.                                                    
                                                 
                                                                                            
                                                
                                                    6.
                                                    
                                                    
                                                        Sargentis G-F, Dimitriadis P, Iliopoulou T, Koutsoyiannis D.   A Stochastic View of Varying Styles in Art Paintings.
 Heritage  2021,
 4, 333–348. 
[Google Scholar]
    
                                                                                                     
                                                 
                                                                                            
                                                
                                                    7.
                                                    
                                                                                                    Sargentis G-F. The Aesthetic Element in Water, Hydraulics and Dams. Master’s Thesis, Department of Civil Engineering, National Technical University of Athens, Athens, Greece, 1998.                                                    
                                                 
                                                                                            
                                                
                                                    8.
                                                    
                                                    
                                                        Ioannidis R, Mamassis N, Efstratiadis A, Koutsoyiannis D.   Reversing visibility analysis: Towards an accelerated a priori assessment of landscape impacts of renewable energy projects.
 Renew. Sustain. Energy Rev.  2022,
 161, 112389. 
[Google Scholar]
    
                                                                                                     
                                                 
                                                                                            
                                                
                                                    9.
                                                    
                                                    
                                                        Sargentis G-F, Iliopoulou T, Sigourou S, Dimitriadis P, Koutsoyiannis D.   Evolution of Clustering Quantified by a Stochastic Method—Case Studies on Natural and Human Social Structures.
 Sustainability  2020,
 12, 7972. 
[Google Scholar]
    
                                                                                                     
                                                 
                                                                                            
                                                
                                                    10.
                                                    
                                                    
                                                        Sargentis G-F, Dimitriadis P, Ioannidis R, Iliopoulou T, Koutsoyiannis D.  Stochastic Evaluation of Landscapes Transformed by Renewable Energy Installations and Civil Works. 
 Energies 2019,
 12, 2817. 
[Google Scholar]
    
                                                                                                     
                                                 
                                                                                            
                                                
                                                    11.
                                                    
                                                    
                                                        Ioannidis R, Sargentis G-F, Koutsoyiannis D.   Landscape design in infrastructure projects—is it an extravagance? A cost-benefit investigation of practices in dams.
 Landsc. Res.  2022,
 47, 370–387. 
[Google Scholar]
    
                                                                                                     
                                                 
                                                                                            
                                                
                                                    12.
                                                    
                                                    
                                                        Sargentis GF, Ioannidis R, Iliopoulou T, Dimitriadis P, Koutsoyiannis D.   Landscape Planning of Infrastructure through Focus Points’ Clustering Analysis. Case Study: Plastiras Artificial Lake (Greece).
 Infrastructures  2021,
 6, 12. 
[Google Scholar]
    
                                                                                                     
                                                 
                                                                                            
                                                
                                                    13.
                                                    
                                                                                                    Sargentis GF, Hadjibiros K, Christofides A. Plastiras Lake: the impact of water level on the aesthetic value of the landscape. In Proceedings of the 9th International Conference on Environmental Science and Technology, Rhodes Island, Greece, 1–3 September 2005.                                                    
                                                 
                                                                                            
                                                
                                                    14.
                                                    
                                                    
                                                        Dimitriadis P, Tegos A, Oikonomou A, Pagana V, Koukouvinos A, Mamassis N, et al.   Comparative evaluation of 1D and quasi-2D hydraulic models based on benchmark and real-world applications for uncertainty assessment in flood mapping.
 J. Hydrol.  2016,
 534, 478–492. 
[Google Scholar]
    
                                                                                                     
                                                 
                                                                                            
                                                
                                                    15.
                                                    
                                                                                                    Dimitriadis P, Kougia M, Sargentis G-F, Iliopoulou T, Mamasis N, Koutsoyiannis D. Violent land terrain alterations and their impacts on water management; Case study: North Euboea. In Proceedings of the EGU General Assembly, Vienna, Austria, 24–28 April 2023.                                                    
                                                 
                                                                                            
                                                
                                                    16.
                                                    
                                                    
                                                        Sargentis G-F, Ioannidis R, Bairaktaris I, Frangedaki E, Dimitriadis P, Iliopoulou T et al.  Wildfires vs. Sustainable Forest Partitioning. 
 Conservation  2022,
 2, 195–218. 
[Google Scholar]
    
                                                                                                     
                                                 
                                                                                            
                                                
                                                    17.
                                                    
                                                    
                                                        Moraiti K, Sigourou S, Dimitriadis P, Ioannidis R, Benekos I, Iliopoulou T et al.   Documenting the Changing Floodplain of Nileas Basin in North Euboea (Greece) before and after Storms Daniel and Elias.
 Rural Reg. Dev.  2024,
 2, 10013. 
[Google Scholar]
    
                                                                                                     
                                                 
                                                                                            
                                                
                                                    18.
                                                    
                                                    
                                                        Wang N, Sun F, Koutsoyiannis D, Iliopoulou T, Wang T, Wang H et al.   How can changes in the human-flood distance mitigate flood fatalities and displacements?
 Geophys. Res. Lett.  2023,
 50, e2023GL105064. 
[Google Scholar]
    
                                                                                                     
                                                 
                                                                                            
                                                
                                                    19.
                                                    
                                                                                                    Mettos A, Rontogianni Th, Papadakis G, Paschos P, Georgiou Ch. New data on the geology of the Neogene deposits of Northern Euboea. In Proceedings of the Geological Society Meeting, Athens, Greece, 1991.                                                    
                                                 
                                                                                            
                                                
                                                    20.
                                                    
                                                    
                                                        Sargentis G-F, Kougkia M.  Vulnerabilities of water-energy and food nexus in cities of digital era.
 Insight Civ. Eng.  2024,
 7, 608. 
[Google Scholar]
    
                                                                                                     
                                                 
                                                                                            
                                                
                                                    21.
                                                    
                                                                                                    CABI International. Ceratocystis platani (canker stain of plane). CABI Compendium. Available online: https://doi.org/10.1079/cabicompendium.12144 (accessed on 29 August 2024).                                                    
                                                 
                                                                                            
                                                
                                                    22.
                                                    
                                                    
                                                        Ocasio-Morales RG, Tsopelas P, Harrington TC.   Origin of Ceratocystis platani on Native Platanus orientalis in Greece and Its Impact on Natural Forests.
 Plant Dis. 2007,
 91, 901–907. 
[Google Scholar]
    
                                                                                                     
                                                 
                                                                                            
                                                
                                                    23.
                                                    
                                                    
                                                        Jeger M, Bragard C, Chatzivassiliou E, Dehnen-Schmutz K, Gilioli G, Jaques Miret JA et al.   Risk assessment and reduction options for Ceratocystis platani in the EU.
 EFSA J.  2016,
 14, 4424. 
[Google Scholar]
    
                                                                                                     
                                                 
                                                                                            
                                                
                                                    24.
                                                    
                                                                                                    Moraiti K, Sigourou S, Kougia M, Sargentis G-F, Koutsoyiannis D. On-site inspection in monitoring of water flow for the calibration of hydraulic models and the statistical analysis of the hydraulic output. Case study: The river Nileas in North Euboea, Greece, before and after the storm Elias in September 2023. In Proceedings of the EGU General Assembly, Vienna, Austria, 14–19 April 2024.                                                     
                                                 
                                                                                            
                                                
                                                    25.
                                                    
                                                                                                    Huffman GJ, Stocker EF, Bolvin DT, Nelkin EJ, Tan J. GPM IMERG Final Precipitation L3 Half Hourly 0.1 degree x 0.1 degree V07; Greenbelt, MD, Goddard Earth Sciences Data and Information Services Center (GES DISC). Available online: https://doi.org/10.5067/GPM/IMERG/3B-HH/07 (accessed on 28 August 2024).                                                    
                                                 
                                                                                            
                                                
                                                    26.
                                                    
                                                                                                    Earthdata. Available online: https://www.earthdata.nasa.gov/ (accessed on 28 August 2024).                                                    
                                                 
                                                                                            
                                                
                                                    27.
                                                    
                                                                                                    Rain problems in Northern Euboea—The Kireas River Overflowed, and the Road in Mantoudi Is Closed. Available online: https://www.iefimerida.gr/ellada/problimata-apo-tin-brohi-stin-boreia-eyboia (accessed on 12 April 2024).                                                    
                                                 
                                                                                            
                                                
                                                    28.
                                                    
                                                                                                    Storm Daniel. Κακοκαιρία Ντάνιελ. Available online: https://el.wikipedia.org/wiki/Κακοκαιρία_Ντάνιελ (accessed on 14 May 2024).                                                    
                                                 
                                                                                            
                                                
                                                    29.
                                                    
                                                                                                    Storm Daniel: Why It Is the Most Destructive We’ve Ever Experienced. Available online: https://www.kathimerini.gr/life/environment/562603828/kakokairia-daniel-giati-einai-i-pio-katastrofiki-poy-echoyme-viosei/ ( accessed on 14 May 2024).                                                    
                                                 
                                                                                            
                                                
                                                    30.
                                                    
                                                                                                    Storm Elias: Dramatic Situation in Euboea—Images of Complete Destruction. Available online: https://www.cnn.gr/ellada/story/384064/kakokairia-elias-dramatiki-i-katastasi-stin-eyvoia-eikones-apolytis-katastrofis (accessed on 14 May 2024).                                                    
                                                 
                                                                                            
                                                
                                                    31.
                                                    
                                                    
                                                        Sargentis G-F, Koutsoyiannis D.   The Function of Money in Water-Energy-Food and Land Nexus.
 Land  2023,
 12, 669. 
[Google Scholar]
    
                                                                                                     
                                                 
                                                                                            
                                                
                                                    32.
                                                    
                                                    
                                                        Markantonis D, Sargentis G-F, Dimitriadis P, Iliopoulou T, Siganou A, Moraiti K, et al.   Stochastic Evaluation of the Investment Risk by the Scale of Water Infrastructures—Case Study: The Municipality of West Mani (Greece).
 World  2023,
 4, 1–20. 
[Google Scholar]
    
                                                                                                     
                                                 
                                                                                            
                                                
                                                    33.
                                                    
                                                                                                    Sargentis G-F. Issues of Prosperity: Stochastic Evaluation of Data Related to Environment, Infrastructures, Economy and Society. Ph.D. Thesis, National Technical University of Athens, Athens, Greece, 2022.                                                    
                                                 
                                                                                            
                                                
                                                    34.
                                                    
                                                                                                    Copernicus Open Access Hub. Available online: https://scihub.copernicus.eu/ (accessed on 16 August 2024).                                                    
                                                 
                                                                                            
                                                
                                                    35.
                                                    
                                                                                                    Copernicus. E.O Browser. Available online: https://apps.sentinel-hub.com/eo-browser/ (accessed on 16 August 2024).                                                    
                                                 
                                                                                            
                                                
                                                    36.
                                                    
                                                                                                    Dimitrakopoulou D, Ioannidis R, Dimitriadis P, Sargentis G-F, Chardavellas E, Alexopoulos MJ, et al. The importance of citizens’ engagement in the implementation of civil works for the mitigation of natural disasters with focus on flood risk in Attica Region (Greece). In Proceedings of the European Geosciences Union General Assembly 2024 (EGU24), Vienna, Austria, 14–19 April 2024.                                                    
                                                 
                                                                                            
                                                
                                                    37.
                                                    
                                                                                                    Esri. (2024). ArcMap (Version 10.7.1) [Software]. Environmental Systems Research Institute, Inc. Available online: http://www.esri.com (accessed on 28 August 2024).                                                    
                                                 
                                                                                            
                                                
                                                    38.
                                                    
                                                                                                    Pope A. An Epistle to the Right Honourable Richard Earl of Burlington: Occasion’d by his publishing Palladio’s Designs of the Baths, Arches, Theatres, &c. of Ancient Rome. London: L. Gilliver, 1731. Available online: https://www.eighteenthcenturypoetry.org/works/o3689-w0010.shtml (accessed on 5 October 2020).                                                    
                                                 
                                                                                            
                                                
                                                    39.
                                                    
                                                                                                    Subramaniam T, Liakos Ch. Greece Hit by Several Months of Rain in a Day, Just Weeks after Storm Killed 17. CNN, 2023. Available online: https://edition.cnn.com/2023/09/28/europe/greece-storm-elias-intl-scn-hnk/index.html (accessed on 28 August 2024).                                                    
                                                 
                                                                                            
                                                
                                                    40.
                                                    
                                                                                                    Copernicus Emergency Management Service. Flood in Greece, EMSR692—Situational Reporting. 2023. Available online: https://rapidmapping.emergency.copernicus.eu/EMSR692/reporting (accessed on 11 January 2024).                                                    
                                                 
                                                                                            
                                                
                                                    41.
                                                    
                                                                                                    Blender Online Community. Blender—A 3D Modelling and Rendering Package (Version 3.5). Blender Foundation, 2023. Available online: https://www.blender.org (accessed on 28 August 2024).                                                    
                                                 
                                                                                            
                                                
                                                    42.
                                                    
                                                    
                                                        Sargentis G-F, Mamassis N, Kitsou O, Koutsoyiannis D.   The role of technology in the water–energy–food nexus. A case study: Kerinthos, North Euboea, Greece.
 Front. Water 2024,
 6, 1343344. 
[Google Scholar]
    
                                                                                                     
                                                 
                                                                                            
                                                
                                                    43.
                                                    
                                                                                                    Google. Google Earth Pro, Version 7.3.3.7786; Google Inc.: Washington, DC, USA, 2021. Available online: https://www.google.com/earth/ (accessed on 12 April 2024).                                                    
                                                 
                                                                                            
                                                
                                                    44.
                                                    
                                                                                                    3D Model of the Anaglyph. Available online: https://www.kiriengine.app/share/ShareModel?code=NT4JIH&serialize=38e750bc887f4872aaa64e1d22102c6c (accessed on 28 August 2024).